- 34379 Calden
- Kaufpreis129.500,00 €
- Provisionkeine Käuferprovision inkl. MwSt.
- Grundstück 753,0 m²
- Objektnummer FALC-JeS-76978
+++Tolles Baugrundstück in der Nähe von Kassel+++
Objektbeschreibung
Objekttitel
+++Tolles Baugrundstück in der Nähe von Kassel+++
Lage
Das Grundstück befindet sich in Calden, einem charmanten Ort nordwestlich von Kassel in Nordhessen.
Die naturnahe Umgebung bietet gleichzeitig eine gute Erreichbarkeit aller wichtigen Einrichtungen des täglichen Bedarfs. Einkaufsmöglichkeiten, Supermärkte, Apotheke sowie Kindergarten, Grundschule und Freizeitangebote sind nur wenige Minuten entfernt. Auch Ärzte und medizinische Einrichtungen befinden sich in unmittelbarer Nähe.
Die Anbindung an Kassel und umliegende Orte erfolgt über die B7 sowie gut ausgebaute Landstraßen und der öffentliche Nahverkehr gewährleistet eine bequeme Erreichbarkeit. Der Flughafen Kassel-Calden liegt ebenfalls nur wenige Minuten entfernt.
Diese Kombination aus sonniger Lage, guter Infrastruktur und Nähe zu Kassel macht das Grundstück besonders interessant für Familien, Paare oder Investoren, die stadtnah und gleichzeitig naturnah wohnen möchten.
Objektbeschreibung
Hier kann Ihr Traumhaus entstehen!
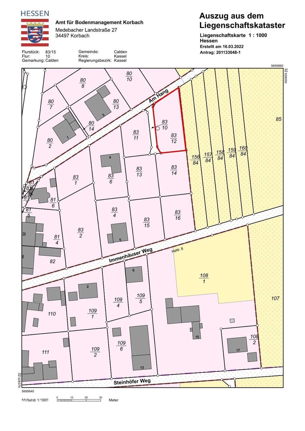
Dieses 753 m² große Baugrundstück in leichter Hanglage befindet sich in Calden, nur ca. 10 km von Kassel entfernt. Auf diesem Grundstück können Sie Ihren Traum vom Eigenheim nach Ihren eigenen Vorstellungen verwirklichen oder Sie legen den Grundstein für eine neue Kapitalanlage. Ausreichend Platz für ein Haus mit einem herrlichen Garten ist hier gegeben. Zu finden ist das Grundstück in einem allgemeinen Wohngebiet. Laut Bebauungsplan ist die Errichtung von zwei- bis dreigeschossigen Einzel- oder Doppelhäuser mit verschiedenen Dachformen möglich. Die Dachneigung ist bei Sattel-, Walm- und Krüppelwalm bis zu 45 Grad und bei Pultdächern bis zu 30 Grad möglich. Weitere Details können Sie dem Bebauungsplan entnehmen, den wir Ihnen gerne zur Verfügung stellen können.
Laut der Auskunft des Eigentümers ist das Grundstück voll erschlossen.
Das Grundstück ist ideal für Familien, Paare oder Investoren, die stadtnah und dennoch im Grünen leben möchten. Das Grundstück ist sofort verfügbar – hier können Sie Ihren Wohntraum zeitnah verwirklichen.
Lassen Sie sich dieses Angebot nicht entgehen! Klicken Sie gleich auf "Anbieter kontaktieren" und schicken Sie uns eine unverbindliche Anfrage!
Den 360-Grad-Rundblick für den ersten Eindruck von dem Grundstück können Sie unter dem nachfolgenden Link aufrufen. Bitte fügen Sie diesen Link in Ihren Browser ein!
https://tour.ogulo.com/ffAx
Sonstige_angaben
Die Objektbeschreibung beruht ganz oder zum Teil auf Angaben des Eigentümers. Für die Richtigkeit oder Vollständigkeit übernehmen wir keine Gewähr.
Bei der Erstellung des Exposés und der Bilder wurde teilweise KI-Technik verwendet.
Beim ausgewiesenen Preis handelt es sich um den Angebotspreis, der sich durch Verhandlungen auch verändern kann. Die im Exposé ausgewiesene Provision ist der Teil, den der Käufer aufgrund unserer Doppeltätigkeit nach Abschluss des Kaufvertrages zu zahlen hat.
Vereinbaren Sie noch heute einen unverbindlichen Besichtigungstermin und überzeugen Sie sich selbst! Da wir die Termine für Besichtigungen mit größter Sorgfalt planen, bitten wir Sie um Verständnis dafür, dass Termine ausschließlich per E-Mail vereinbart werden können. Um fair und gerecht gegenüber jedem unserer Interessenten zu werden, ist dies unumgänglich. Wir freuen uns über Ihre Kontaktaufnahme! Geben Sie bitte immer die vollständige ADRESSE und RUFNUMMER an!
Ihr Ansprechpartner: Jens Schulz, jens.schulz@falcimmo.de
Besuchen Sie uns auch in unserem Büro in: Brunnenallee 32-34, 34537 Bad Wildungen
Sie denken selbst über die Veräußerung Ihrer Immobilie nach oder möchten einfach nur wissen, was diese wert ist? Bei uns erhalten Sie kostenlos eine professionelle Wertermittlung! Gehen Sie hierzu auf:
www.falcimmo.de/Das-ist-meine-Immobilie-wert.htm oder kontaktieren Sie uns.
Energiepass
- Geltende EnEV
- Nicht nötigt
- Gebäudeart
- Wohngebäude
Kontaktperson
- Firma
- FALC Immobilien
- Name
- Schulz
- Vorname
- Jens
- Strasse
- Brunnenallee
- Hausnummer
- 32-34
- PLZ
- 34537
- Ort
- Bad Wildungen
- Email Zentrale
- jens.schulz@falcimmo.de
- Telefon Zentrale
- +49 800 6460646
- Fax
- +49 2242 9010319
- Mobil
- +49 172 2829429
- Webseite / URL
- www.falcimmo.de
Immobiliendetails
- Objektnummer
- FALC-JeS-76978
- Vermarktung
- Verkauf
- Objektart
- WOHNEN, Grundstück
Kosten
- Kaufpreis
- 129.500,00 €
- Provision
- keine Käuferprovision inkl. MwSt.
Flächen
- Grundstücksfläche
- 753,0 m²
Zustand
- Frei ab
- Sofort






